門脇の月桂樹が伸びすぎたので、ホームセンターで買ってきた高枝切で剪定

2年前に切り詰めた月桂樹は枝が上に高く伸びた

枝が高く伸びた月桂樹

切り詰め途中のの月桂樹

伸びた枝を切り詰め途中の月桂樹

切った月桂樹の枝


剪定が終わった月桂樹

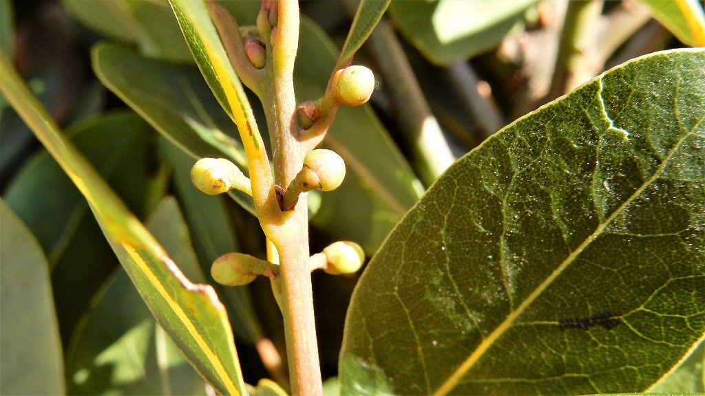
切った枝には月桂樹の花蕾がびっしりありました

20mmの太枝まで切れ、高さを1.7~3m伸縮出来る高枝切りハサミ(税込み6980円)

レバー式ハンドルで太枝20mmまで楽に切れました。握力の心配無用の高枝切ハサミです。レバー式ハンドルは握力が少なく作業ができ楽です

先端部分、左の緑のレバーを押して長さを1.7~3m変えることが出来ます

枝や果実のキャッチャーが付いています(musashi製)緑のネジを緩めての専用こぎりを装着すると20mmより太い枝も切れるのです

これまで切った枝をゴミ袋に入るサイズに切るのにこのぎりノコギリと普通の剪定ハサミを使っていたが、左端のラチェット機能式の剪定ハサミをホームセンターで購入した、この剪定ばさみはラチェット機能式で20mmの枝まで楽々切断でき、切り落としたの枝を短くしゴミ収集袋に入るようカットするのに手が疲れることはありません、握力が少なくても切れる優れものです(税込み1980円)

剪定した月桂樹の枝は細かく切って、ごみ袋に5袋になりました